How to add expansion shelf to NetApp DSA E-Series E2600 & E2700 & E2800 Base?
This article describes the easiest method for adding Expansion shelves to a Base unit DSA E-Series E2600, E2700 or E2800.
This article also applies when:
The amount of storage is overloaded and you need additional storage after fully populating the base shelf.
Article requirements:
1. Configuration Manager
2. Configuration Client which is included with BVMS
3. Santricity Software
Step-by-step guide
- Before adding the expansion to the E2600/ 2700 please turn the Base Unit (Controller) off
- Connect the expansion via cable to the Base Unit (Controller) and turn first the expansion on, wait for 5 to 10 min and then turn the Base Unit (Controller) on
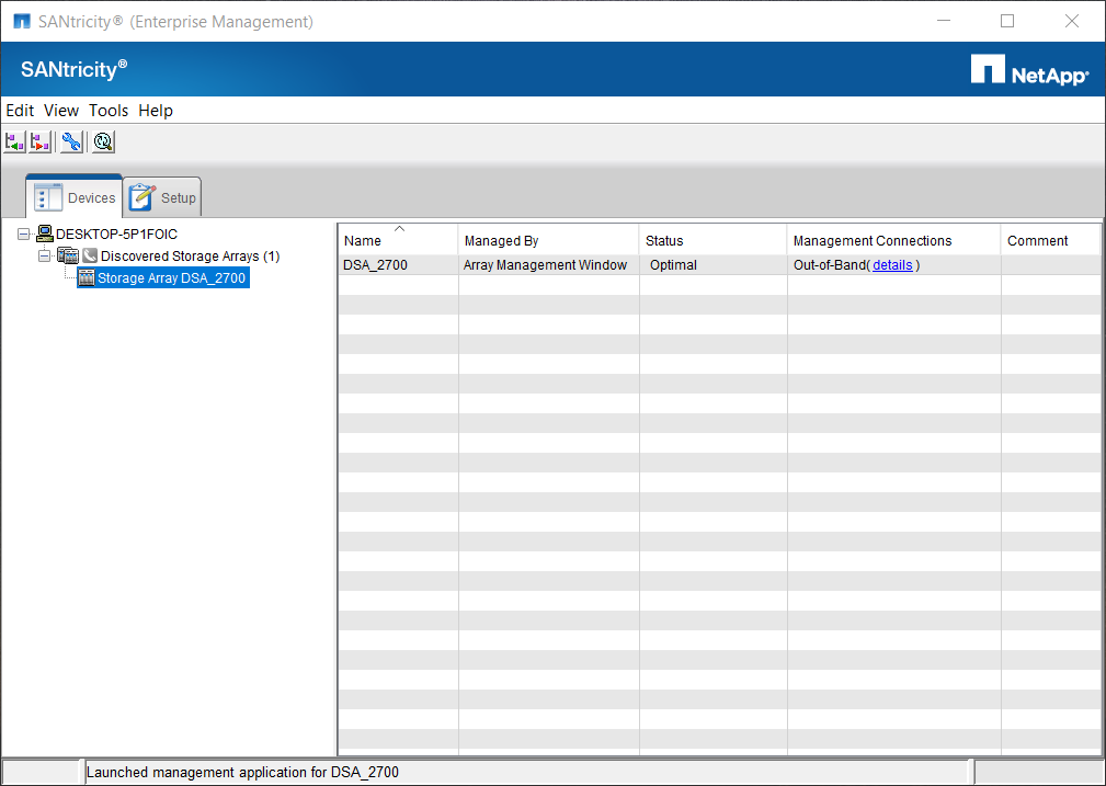
- Open Santricity software > Add Storage arrays
- You can choose to add it automatic or manual
- Select Automatic > OK. A new pop-up message is displayed. Please click OK button:
or - Select Manual > OK. Type the IP Address of your unit and click the “Add” button:
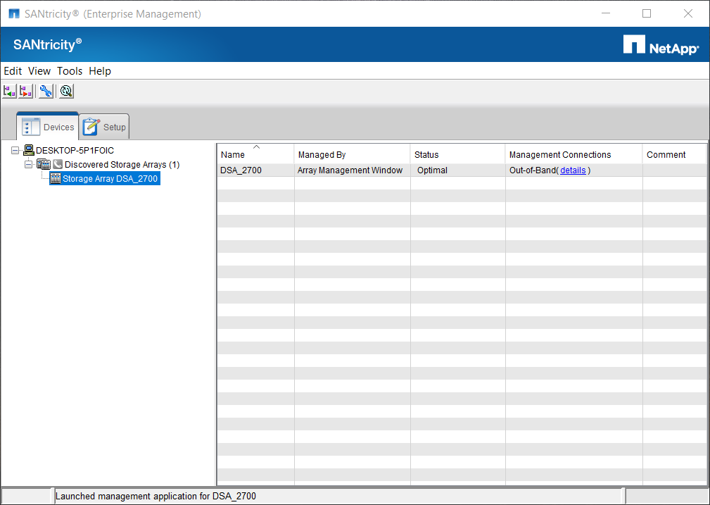
- After several minutes, your unit will be displayed. Please double click on it:
- After the controller is up and running you would be able to see the extra storage in Santricity as available.
Don’t worry! Adding the new storage to the System will not affect the recording or delete the previous LUN’s.
- You can choose to add it automatic or manual
- Add the Expansion unit to BVMS Configuration Client
- Right click on the Pool > Add iSCSI Device
- Type the IP address of the unit and click connect > OK
- Your unit will be visible under VRM Devices List
- Right click on the Pool > Add iSCSI Device
- Edit ISCSI → create new volume: Select the E-Series and then click on Set to create the new Volume group and volume LUNs as well
- After the configuration is done, the Lun’s will look like:
- The new storage is added and can be used.
Important:
- E2700 storage systems support both simple and dual simplex controller configurations with the DE1600 shelves
- DE6600 based storage systems require dual simplex controllers
- E2700 controller – up to 7 Expansion Units can be added in addition to the Base Unit












